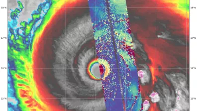
Actualités du projet : SWOT